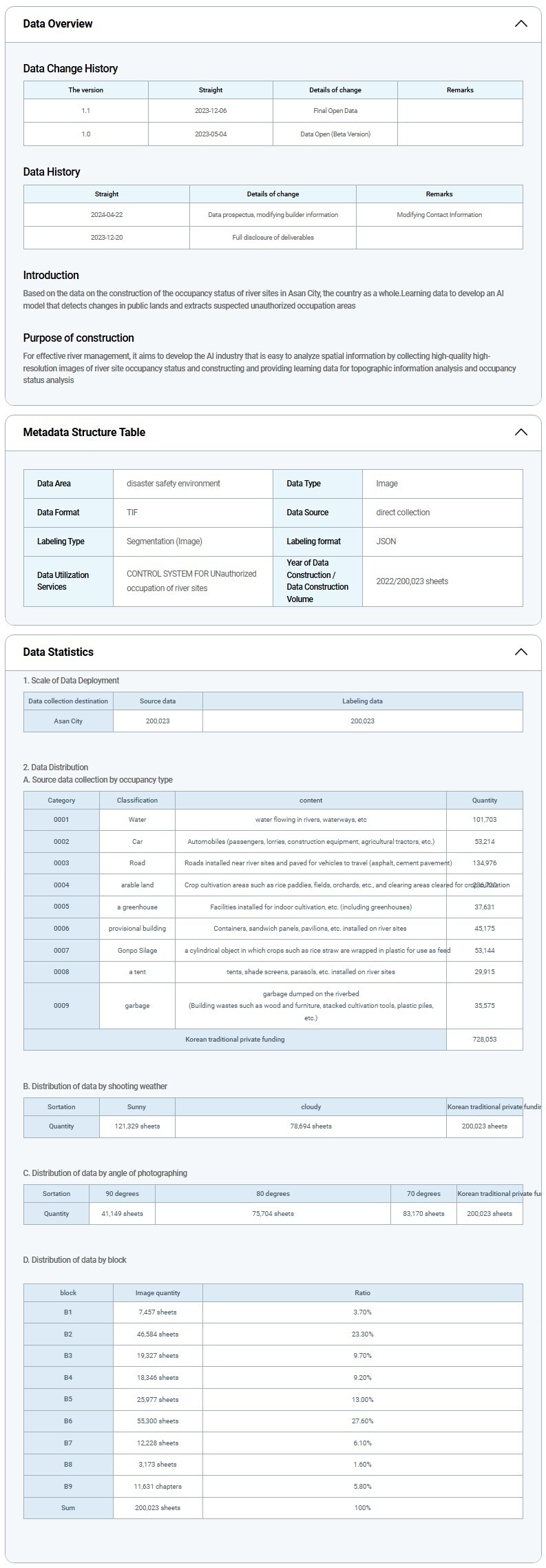
Data on the occupation status of river sites in Asan City

50,000.00 USD
Additional Price
Quantity
Out of Stock
Quantity   0
Total price 0 USD

 

 

 

20TB External Storage (USB Type)

     - Product Data Sheet

     - Deployment and Utilization Guide

     - AI Model Application Manual

     - AI Model 

※ Specific documents and models provided may vary depending on the data requirements.

※ Additional data processing services are available upon separate agreement.

 

| Copyright and Terms of Use

This dataset is the exclusive property of [K-DATA] and is protected under copyright laws and other relevant regulations.Buyers are permitted to use the dataset for AI training and research purposes. Resale, redistribution, or unauthorized use of the dataset is strictly prohibited.The purchased dataset may be used for non-commercial and commercial purposes, but its scope of use is limited to the agreed-upon terms.All rights related to this dataset belong to [K-DATA], and prior approval from the company is required for any use of the data.Users are solely responsible for any outcomes or liabilities arising from the use of this dataset.For inquiries regarding dataset usage or licensing, please contact our support team at help@k-data.kr

Data on the occupation status of river sites in Asan City

50,000.00 USD
Additional Price
수량
Out of Stock
Quantity   0
Total price 0 USD
재입고 알림 신청
휴대폰 번호
-
-
재입고 시 알림
floating-button-img